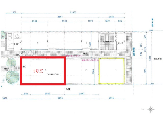
物件番号:SR102 ならまち工房 Ⅲ物件番号:SR102 1ヶ月の費用:賃料58,000円+消費税5,800円+共益費3,000円 Googleマップを開く 賃貸物件概要Rent data 賃料 63800円 共益費 3000円 敷金 0円 礼金 300000円 保証金 0円 所在地 奈良市 公納堂町 12 ならまち工房Ⅲー3号室 交通 近鉄奈良線 近鉄奈良駅 徒歩15分 用途地域 第一種住居地域 貸し土地面積 ㎡ 建物構造 木造平家建 築年月 昭和60年12月 床面積 14.55㎡ 駐車場 無し 設備 設備備考 現状はガス水道の引込はありません 前の記事へ 一覧へ 次の記事へ