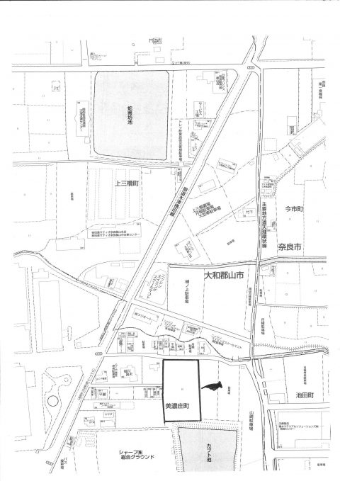
物件番号:B 094 工業(製造)用地物件番号:B 094 開発許可後引渡し・高さ制限有(15M)・浄化槽の設置要・現況有姿渡し Googleマップを開く 土地概要Land data 販売価格 11750万円 所在地 大和郡山市美濃庄町 交通 JR大和路線郡山駅2.92km 土地面積 2774㎡ 地目 田・畑 建ペイ率 60% 現況 田、畑 容積率 200% 建築条件 無 地域 市街化調整区域 設備 公共下水、都市ガスはありません 前の記事へ 一覧へ 次の記事へ